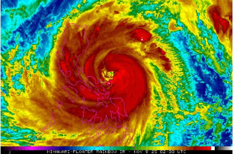
Супертайфун Фунг-вонг обрушився на Філіппіни, спричинивши людські жертви, масові евакуації та масштабні підтоплення через посилення кліматичних змін.

За даними філіппінської метеорологічної служби, тайфун досяг узбережжя провінції Аурора на острові Лусон 9 листопада о 21:10 за місцевим часом. Радіус буревію охопив майже всю територію країни. Очікується інтенсивний дощ та потужні пориви вітру по всій архіпелаговій державі. Лише за тиждень до цього тайфун Калмаегі забрав понад 220 життів, що підвищило тривогу перед новим ударом стихії.
Перші жертви були зафіксовані ще до офіційного виходу тайфуну на сушу. У місті Катбалоган загинула 64-річна жінка, яка намагалася евакуюватися. Рятувальник Джуніель Тагаріно повідомив: «Ймовірно, вона повернулася до будинку за речами, і її привалило уламками та деревами». Друга смерть сталася на острові Катандуанес — людина потонула під час раптової повені. Загалом, евакуйовано близько 1,2 мільйона осіб, зокрема з провінції Кагаян, де місцеві мешканці заздалегідь залишили свої оселі через страх бути відрізаними від зовнішнього світу.
На острові Катандуанес, який міг зазнати прямого удару, вже зранку спостерігались штормові хвилі та стрімке підняття води. «Коли хвилі вдарялися об хвилелом, здавалося, що земля тремтить», розповів місцевий житель Едсон Касаріно. Верифіковане відео підтвердило, що вода дісталась до входу в церкву у містечку Вірак. Подібні явища зафіксовано також у регіоні Біколь, де вулиці селищ перетворилися на потоки брудної води.
У столиці Манілі скасовано близько 300 авіарейсів, а школи та урядові установи по всьому Лусону залишаться зачиненими. Стихія принесла із собою до 200 міліметрів опадів, що значно підвищує ризик зсувів та паводків. Науковці попереджають: «Тайфуни стають потужнішими через зміну клімату, спричинену людиною». Потепління океану прискорює розвиток бур, а тепліше повітря утримує більше вологи, що зумовлює сильніші зливи.
Фунг-вонг став не лише природною катастрофою, але й нагадуванням про вразливість країн до змін клімату та необхідність зміцнення систем раннього попередження й адаптації до екстремальних погодних явищ.
#Супертайфун #Фунгвонг #обрушився #на #Філіппіни
Source link







